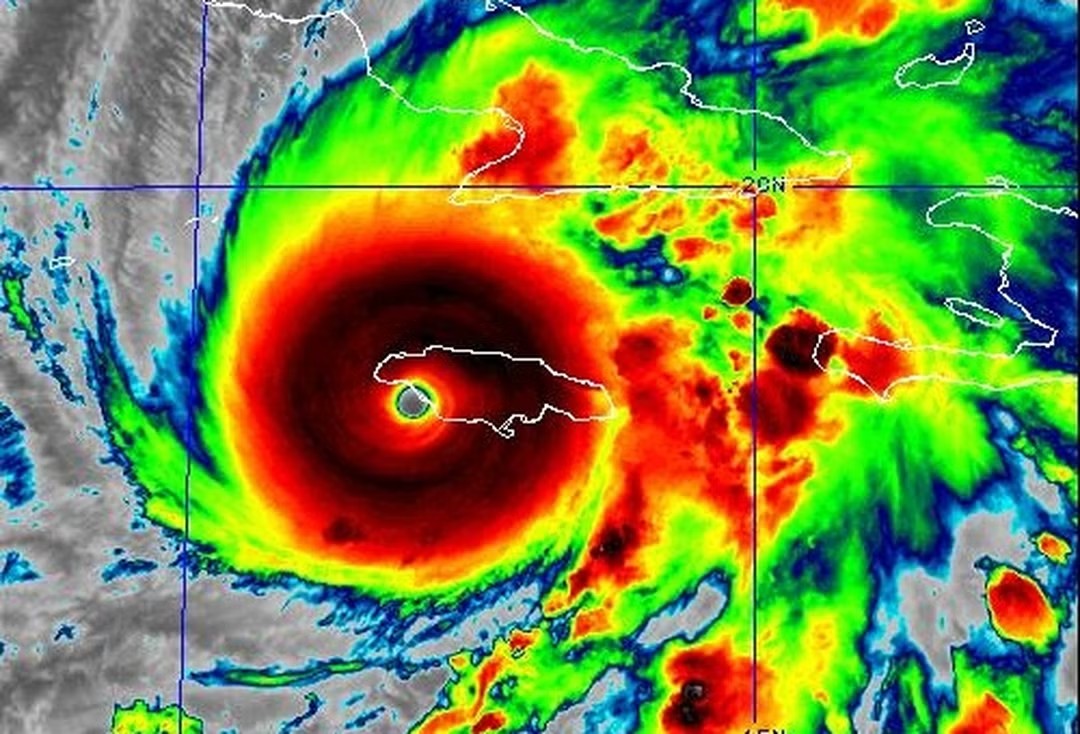
Furacão, que chegou à categoria 5 e tocou o solo na Jamaica às 14h desta terça-feira (28), no horário de Brasília, também deve tocar o solo de Cuba à noite. Milhares de pessoas foram retiradas das províncias de Granma, Santiago de Cuba, Guantánamo e Holguín.
source
Fonte: G1




